往台风眼里扔一颗氢弹,能让台风消失吗?

2025-09-23 09:22:00

先说结论:

无论人类怎么努力,都只能暂时性破坏台风。

而在之后,将可能得到台风更加疯狂的肆虐。


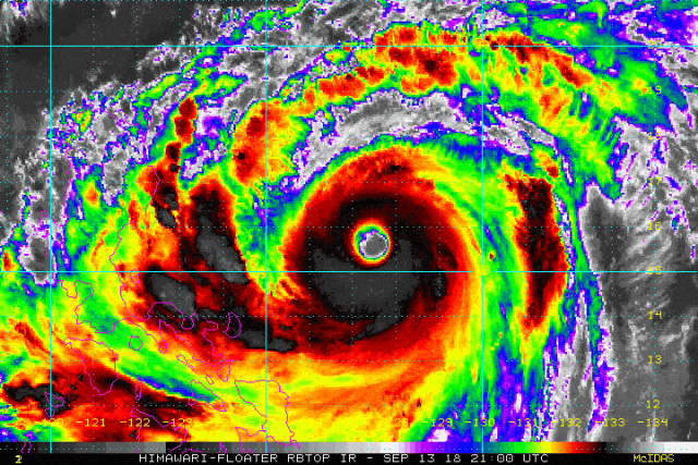
这是台风的典型结构:

图片

一个典型的台风,释放的能量相当于每20分钟爆炸一个1000万吨TNT级的核弹。

虽然现役核弹当量最高400万吨TNT,但人类冷战史上最高的沙皇炸弹——大伊万,达到5000万吨TNT级别。当年,美国高达1000万吨TNT级的核弹也存在多个系列。

就目前来说,中美两国如有必要,也能很快造出1000万吨TNT级的氢弹。

也就是说,只需要在台风风眼、风眼墙、空气柱这些维持着动态平衡的位置,给一到多颗1000万吨TNT级的氢弹,就足以暂时性的破坏台风。

这是不同级别核弹爆炸威力对比:

图片

当年沙皇炸弹,直接杀伤范围达到50公里,波及范围超过了800公里。

典型台风的大小是这样的:

图片

对比可以看出,一个足够大的核弹,的确可以一瞬间破坏台风结构。

而核弹爆炸升腾起来的蘑菇云,对台风也有釜底抽薪般的破坏力。

1959年,美国犁头计划(Project Plowshare)的一位研究者里德,提出了核弹炸台风的设想[1]

他在论文中分析认为:

让潜艇在水下航行,穿透台风眼,在那里发射并引爆一枚或多枚核导弹。

接下来,爆炸会将台风眼中大部分相对温暖的空气高高抛入平流层。温暖的空气将被更冷、密度更大的空气取代,从而降低风速,减弱风暴。

里德计算出,2000万吨级的爆炸,可以将峰值风速为100节的风暴减缓到50节。

不过这个研究并没有得到支持。

首先是成本太大,一次就是几百万美元的花销。其次,放射性坠尘对环境的影响将会很大。为了避免影响气候,美国当时已经计划结束了大气层核爆试验。

当时的一位核物理学家罗伯特·纳尔逊直接表示,这个想法太古怪了。

里德没有找到任何人接受他的想法。

但无论怎么样,在权威核专家的眼里,用核弹暂时性破坏台风,的确是可行的。

然而台风被破坏了,就会直接消失吗?

消失的可能性微乎其微。

图片

台风的形成本身是大范围冷热气流的交汇。

除了台风风眼的几十公里范围,整个台风的大小,往往达到这样的规模:

图片

对于一个大型台风来说,哪怕人类史上核当量最大的氢弹爆炸,所波及的800公里范围,都比台风周围的旋转云气小得太多了。

台风为什么能每20分钟爆炸一个1000万吨TNT级的核弹?

正是因为覆盖几千公里的旋转云气,源源不断的能量注入。

图片

美国气候中心(NOAA)预估的是,一场典型台风,从诞生到消失,产生的总能量相当于全人类一年发电量的一半。如果再加上周围云气蕴含的能量,将达到世界年用电量的200倍。

不算周围云气的话,单单台风产生的能量,大约相当于人类当下核武器总当量。

也就是说,仅仅一颗1000万吨TNT级的氢弹,虽然炸散了台风。

但在周围旋转云气的影响下,新的台风还会迅速形成。而且由于周围云气具有庞大的能量,所以新台风的形成几乎不可逆转。而且台风的运动轨迹,也会完全不同,最终是否进入陆地,造成更大的破坏,也会是完全位置的。

而且由于空气中具有更多的热量,台风的威力有可能还会进一步增强。当然,从更长的时间角度来说,其实人类这一颗1000万吨TNT级的氢弹也仅仅只是暂时增强台风威力,后续依旧可能恢复到之前的状态。

即便人类把储备的所有核弹投进去了,而且覆盖范围,达到数千公里的尺度,暂时性的完全打乱了旋转的气旋。

但你依旧无法左右和台风形成相关的季风持续性的输入,让台风再次形成。

那么台风再次产生的概率,也是很大的:

图片

而且由于空气中的热量翻倍了,有可能形成更大规模的超级台风。又或者,因为巨大的扰动,分裂成多个大规模台风,走向了不同的方向。

当初川普当政的时候,便多次提出过核弹炸台风。

对于这种破天荒的炸裂想法,美国气候中心(NOAA)发文表示,除非我们能够在飓风中心持续引爆核爆炸,否则我们就无法驱散让风暴持续的低压空气。而破坏40公里风眼的台风,需要在风眼增加5亿多吨的空气,几乎没有可操作性。

其实,即便你能持续引爆核弹,让一个台风不再形成,但你无法避免因为持续注入能量,产生多个台风的风险。你继续投入更多的核弹炸台风,无异于抱薪救火。

其实人类想要破坏台风的最好理论方向,并不是用核弹破坏。

而是相反的方向,通过各种方法,给台风降温。

然而在气候面前,人类依旧是渺小的。

1947年,诺贝尔奖获得者欧文·朗缪尔领导了一项军事实验,他意图通过大量干冰对台风降温,从而破坏台风。

他认为,在台风眼中不断增长的冰会使风眼变得更宽,从而瓦解风暴。

但台风的发展并没有出现预期的结果。

让每个人都感到恐惧的是,台风随后进行了一个“不可能”的135°转弯,冲进佐治亚州的萨凡纳,最终造成了300万美元的损失(约今天3200万美元),致一人死亡。

虽然时至今天,依旧还有研究者意图通过冷却海水,释放颗粒遮挡阳光等来削弱台风。

图片

但更多的研究者,还是认为这些努力产生的作用都是微乎其微的。

毕竟,一场台风的总能量就相当于人类一年一半的用电量,更是20世纪末更是相当于5倍。台风周围云气蕴含的能量更是人类全年的200倍。

人类再努力,也只能施加暂时性的影响,从长期影响来说,目前的人类依旧十分无力。

在地球气候面前,人类终究是渺小而脆弱的,一定要有敬畏之心。


文章相关资源下载

评论列表 共有 0 条评论

暂无评论

最新更新

  • 拼多多上的“家书”,为何无一字却胜过千言万语?

  • 广东老板靠「山寨」饮料起家,一年狂揽百亿

  • 【今日快讯】张雪峰复播称“文科大有可为”;多省份去年人口出生率数据公布;深圳通报郑智化登机调查情况

  • 【涨知识】雷士照明人要掌握的照明知识之“照度”

  • 工信部通报!这20款智能终端存在侵害用户权益行为

  • 假设中国不出口照明产品,这个世界将会怎样?DeepSeeK,这样回答!

意见反馈 返回
顶部